Kolik má váš Focus najeto?

Motor, převodovka ...
Moderátor:ZaQik
Odpovědět
Uživatelský avatar
panther7
Test driver
Test driver
Příspěvky: 2265
Registrován: 15.04.2008 20:50
Bydliště: PRAHA

Re: Kolik má váš Focus najeto?

Příspěvek od panther7 » 31.08.2008 00:00

za 2 měsíce cca 7400km - což docela jde. :mrgreen: :mrgreen: :mrgreen: :mrgreen:
Ford Focus 1,8TDCi 85kW, Trend Celebration 6/2008 Combi
Obrázek fotogalerie
Obrázek

Uživatelský avatar
tino3
Nováček
Nováček
Příspěvky: 115
Registrován: 20.07.2008 22:13
Bydliště: Handlová
Kontaktovat uživatele:

Re: Kolik má váš Focus najeto?

Příspěvek od tino3 » 01.09.2008 21:17

Dnes som stihol foto :D :D Bola rovinka,tak sa dalo v pohode odfotit. :)
Přílohy
DSC00343.JPG
Naposledy upravil(a) tino3 dne 01.09.2008 21:28, celkem upraveno 1 x.
FORD FOCUS combi GHIA,10/2004,85kW TDCi,chip 103kW,šedá metaliza,elektrony ford,automaticke zapínanie svetiel,alarm,dotahovanie pred.okien,leptane VIN na sklá,klima
BOLO:
FORD ORION 91/1,8D sedý
FORD ESCORT 97/1,4i biely


Obrázek

Uživatelský avatar
panther7
Test driver
Test driver
Příspěvky: 2265
Registrován: 15.04.2008 20:50
Bydliště: PRAHA

Re: Kolik má váš Focus najeto?

Příspěvek od panther7 » 01.09.2008 21:25

Tak to máš pěkně najeto a ještě lépe foceno-já to říkám stále, že Fofáci jsou šikovní :mrgreen: :mrgreen: :mrgreen:
Ford Focus 1,8TDCi 85kW, Trend Celebration 6/2008 Combi
Obrázek fotogalerie
Obrázek

Uživatelský avatar
mrvo
Nováček
Nováček
Příspěvky: 81
Registrován: 02.02.2008 03:18
Bydliště: Vráble

Re: Kolik má váš Focus najeto?

Příspěvek od mrvo » 01.09.2008 23:28

Tak moj Focus už má 192tKm.....

Uživatelský avatar
patcha
Nováček
Nováček
Příspěvky: 70
Registrován: 08.03.2008 19:15
Bydliště: CHRUDIM
Kontaktovat uživatele:

Re: Kolik má váš Focus najeto?

Příspěvek od patcha » 02.09.2008 09:58

Tak ja jsem na tom takhle... Koupeno 03/2008 (125800km)Pochopitelne hodnote prilis neverim, byl to dovoz pres dve osoby :? Jinak mam za sebou rozvody, vyfuk (stredni a zadni dil) taky vodni pumpu (zbytecne-problem byl asi jinde)
stav133333.jpg
Ford Focus kombi, silver, 1.6 16V, r.v.2000, trend

Obrázek

kako
Nováček
Nováček
Příspěvky: 84
Registrován: 05.09.2008 19:35
Bydliště: Revuca

Re: Kolik má váš Focus najeto?

Příspěvek od kako » 05.09.2008 20:07

Mám ho asi 1 mesiac. R.v. 11.2005, na tachometri 97 000km, v skutočnosti asi 150 - 160 tis. km. Overili sme v Rakúsku. Tušil som, že má ztočené km, auto som nevátil, páči sa mi. Je combi, strieborný, cena 280 tis.sk. Zadné tlmiče trebalo menit. Motor je tichý, ťahá dobre. Mal som dilemu, či som nemal kúpiť nové, niečo menšie.
Fofo 2, combi, strieborny, 1.6 TDCI 66 kw, r.v. 05

Uživatelský avatar
Palec4
Test driver
Test driver
Příspěvky: 2057
Registrován: 03.05.2008 23:20
Bydliště: Svk-Sereď
Kontaktovat uživatele:

Re: Kolik má váš Focus najeto?

Příspěvek od Palec4 » 06.09.2008 09:43

no tak moj ma 126 000, tiez dovoz ale predavajuci sa mi zarucil ze su origo,ale tak kto vie,stav moze zodpovedat.
Focus 1.8 TDdi 66KW Ghia Strieborna metaliza r.v. 2000/6 - _predane_
Obrázek
ObrázekObrázek

Uživatelský avatar
Skubi
Test driver
Test driver
Příspěvky: 11856
Registrován: 02.02.2008 03:18
Bydliště: Přerov
Kontaktovat uživatele:

Re: Kolik má váš Focus najeto?

Příspěvek od Skubi » 08.09.2008 18:31

tak při odjezdu z Focusic :wink:
Přílohy
DSCF4399.JPG
FF kombi 1,6 74 kW sériová GHIASOC, 00/01, modrá metlaSkubi´s family car
Obrázek
Obrázek
Smyk nelze dostat jako chřipku, ten si prostě zaviníme sami !!!

Uživatelský avatar
Mattys
Junior
Junior
Příspěvky: 335
Registrován: 02.02.2008 03:18
Bydliště: Vrbno pod Pradědem

Re: Kolik má váš Focus najeto?

Příspěvek od Mattys » 09.09.2008 19:19

Tak moje dnešní fotoObrázek
Přílohy
IMG_5847.jpg
NEW 11.11.2014:Ford Mondeo MK4 2010, 2,0TDCi
OLD:FORD FOCUS COMBI 1,6 ZETEC SE 74KW 16V rv.6/1999 BLACK METAL
ObrázekGalérka https://forum.ford-focus.cz/viewtopic.php?f=96&t=4800

Uživatelský avatar
Loeb
Nováček
Nováček
Příspěvky: 111
Registrován: 02.02.2008 03:18
Bydliště: Brandýsek
Kontaktovat uživatele:

Re: Kolik má váš Focus najeto?

Příspěvek od Loeb » 12.09.2008 09:26

Kua já mám 172 tis a nějaký drobný...
Ford Focus combi 1.8 TDDi 66kw r.v. 2000 bílá

Uživatelský avatar
pbjun
Test driver
Test driver
Příspěvky: 5869
Registrován: 02.02.2008 03:18

Re: Kolik má váš Focus najeto?

Příspěvek od pbjun » 16.09.2008 16:24

Tak to jsme na tom stejne :D Dneska se to pretocilo na 172 tis... Jinak zacinam pomalu nakupovat dily na velkou opravu pri 200tis ktera se kvapem blizi - stabiky, tlumice, zadni brzdy, rozvody, zdvihatka ventilu, veskere tesneni a gufera... Tot asi vse, cca 30tis...

chmelko
Test driver
Test driver
Příspěvky: 9134
Registrován: 02.02.2008 03:18
Bydliště: Jablonec nad Nisou

Re: Kolik má váš Focus najeto?

Příspěvek od chmelko » 16.09.2008 16:25

rozvody pri 200tis...kedy si ich nechal menit po prvykrat?

Uživatelský avatar
pbjun
Test driver
Test driver
Příspěvky: 5869
Registrován: 02.02.2008 03:18

Re: Kolik má váš Focus najeto?

Příspěvek od pbjun » 16.09.2008 19:09

Pri 135 tis a rikali ze 70tis na vymenu - 200 tis je o 5 tis driv :)

chmelko
Test driver
Test driver
Příspěvky: 9134
Registrován: 02.02.2008 03:18
Bydliště: Jablonec nad Nisou

Re: Kolik má váš Focus najeto?

Příspěvek od chmelko » 16.09.2008 19:12

tak o tom pocujem poprvykrat...pocujte chlapci co to mate za servisy? :roll: :wink:

Uživatelský avatar
mirin
Zkušený
Zkušený
Příspěvky: 1101
Registrován: 02.02.2008 03:18
Bydliště: Olomouc

Re: Kolik má váš Focus najeto?

Příspěvek od mirin » 16.09.2008 19:18

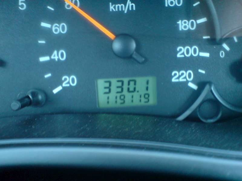
V sobotu :
Přílohy
100_2146.jpg
Ford Focus 1,6 16V Zetec 99, hatchback,vínová metalíza
Obrázek

Odpovědět

Zpět na „Motor“

Kdo je online

Uživatelé prohlížející si toto fórum: Žádní registrovaní uživatelé a 1 host